国际惯例


 

 

 

案主基本信息


【年龄】27岁

【坐标】广东

【季节】冬春交替

【环境特点】温度10-20度、湿度约35%~70%,温湿度波动很大

【肤质照片】


早起未做处理

 


早上洗完脸后


护肤后


涂了护肤品5小时后



肤质自述

 


  • 遇冷遇热时脸颊泛红发烫,很多年了,但自我感觉不是问题;

  • 两年前去柜台做过皮肤测试,皮肤显示结果为35岁(比实际年龄大很多…),属于T部油两边干的肤质;

  • 脸上有雀斑,主要分布在两颊两侧及眼部周围(雀斑从初中起就有了,一直无法消除或消淡);

  • 两年来,经常性局部长痘(如额头上,两颊,嘴巴周围等),多数痘痘有脓血,痘痘消失后还留痘印;

  • 洗完脸,脸部有强烈的紧绷感,一定要擦东西才能缓解,但无论擦不擦东西,脸都很快会出油(出油部位主要是:额头,鼻子,两颊);

  • 有轻微法令纹;

  • 眼部周围有细纹;

  • 鼻子及两颊毛孔较大,粉刺多;

  • 鼻子黑头多;

  • 眼部周围及两颊有少许脂肪粒;

  • 自觉脸部角质层厚,涂的护肤品不吸收,效果差(主要是对美白产品效果感觉失望)。

 

 

最喜欢/讨厌的产品


最喜欢: 

资生堂悦薇珀翡抗皱霜:较有效的祛皱; 

日本cdp SPF50+防晒:有防晒+隔离+细微的遮瑕效果。

 

最讨厌: 

日本资生堂蓝管眼霜:价格太贵了,700-800人民币/15g; 

日本cdp SPF=50+ 防晒:价格太贵了,约500人民币/30ml。

 

 

肤质定位及解析


【基础肤质】清洁过度导致的干皮(自觉是外油内干,实际出油并不多)

【问题肤质】痘痘+敏感

 


方案调整


  

【原有方案——近1个月】

早上——法国佛蘭雪雅洁面+法国佛蘭雪雅化妆水(两泵)+资生堂悦薇珀翡抗皱霜(只擦眼睛周围及法令纹)+日本SK-2小银瓶精华液(五毛硬币)+日本SK-2大红瓶面霜(全脸摸匀)+日本cdp SPF50+ 防晒(有隔离效果)

晚上——日本DHC卸妆+法国佛蘭雪雅洁面+法国佛蘭雪雅化妆水(两泵)+资生堂悦薇珀翡抗皱霜(只擦眼睛周围及法令纹)+日本SK-2小银瓶精华液(五毛硬币)+日本SK-2大红瓶面霜(全脸摸匀)

其他——

除了以上早晚护肤外,中间一般不补防晒,不补喷雾,出油了也不洗脸,因为洗完脸后有强烈的紧绷感;

每周两次用日本石泽研究所的磨砂洁面粉去角质+收缩毛孔;

每周两次敷KOSE超浓厚保湿EX面膜;

每周两次法国佛蘭雪雅按摩膏or法国佛蘭雪雅按摩精油按摩脸部(主要功效:嫩肤 保湿)。

 

【调整方案】

早上——清水洗脸(扑抹2遍)+法国佛蘭雪雅化妆水(反复多遍涂抹,直到皮肤感觉软嫩水润为止)+SK2小银瓶(肤感能接受的前提下尽量多用)/欧莱雅小黑瓶(用完小银瓶换)+日本SK2大红瓶面霜(轻干少涂,不干不涂)+防晒/隔离

晚上——清水洗脸(扑抹2遍)/贝蒂雅海沁泉矿物泥洁肤霜+法国佛蘭雪雅化妆水(反复多遍涂抹,直到皮肤感觉软嫩水润为止)+资生堂悦薇珀翡抗皱霜(全脸擦,肤感能接受前提下尽可能多)

 

 

案主反馈记录

2020.2.4


2020.2.23反馈,22°C/60%(怀孕两三周);自述不觉得皮肤有好的变化,甚至粉刺还更多,细纹加重(实际对比照看效果非常好,虽然可能跟怀孕后的激素变化有关,未必全是护肤品的功劳);干燥情况有缓解;

 

涂好护肤品10分钟后


2020.2.23-2020.3.29反馈,23.3°C/62%(怀孕两个月);痘痘粉刺减少了,其他没啥明显感觉(照片看毛孔更大了,皮肤依然比较缺水);自述涂完护肤品1小时后就开始出油了;

 

涂好护肤品10分钟后:

 

微调方案:法国佛蘭雪雅化妆水换成fresh古源水;

 

2020.3.29-2020.5.10反馈,28°C/72%;痘痘粉刺减少;自觉毛孔变大(但对比照变化不明显或略变小);

 

涂好护肤品10分钟后

 

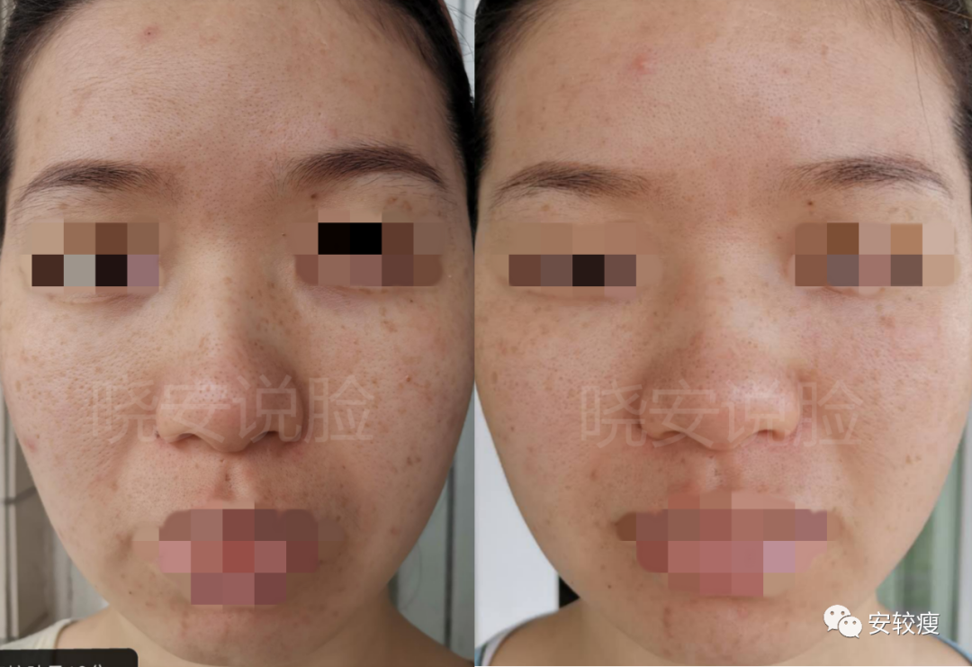
2020.2.4PK2020.5.10: 


2020.12.12号回访反馈,效果保持不错,但入冬后皮肤不如之前,有些干燥;

 

护肤5小时后: 

 

2020.2.4PK2020.12.12:


案例总结与讨论


  

怀孕或备孕的宝宝如果有祛痘类的需求不建议做咨询,因为这个时间段总是投鼠忌器的,可靠的抗痘产品基本都没法用,不如等你搞定了这一人生大事之后再做努力~


而且,其实一般怀孕后人体的激素水平会有相当大的变化,表现在皮肤上就是,有的人原本皮肤很好,怀孕后莫名变差。。。比如痘痘粉刺色斑一股脑都上了~同时,也有人正好相反,比如原本长痘的,怀孕后莫名不长了,皮肤光滑细腻也没有色斑。。。这些也都会严重影响咱们的护肤方案在执行中的效果观察,毕竟没有人能说得清孕期皮肤的变化(或好或坏)到底是产品的影响还是自身激素水平的影响,亦或者两者兼有。


就像这位案例麻她在第一个阶段两三周的时间内痘痘就有了非常明显的改观这其实很难说是不是产品的影响,一般情况下痘痘的改善都很少有这么迅猛的,何况她第一个阶段也没用到特别强力的抗痘产品,我个人是更倾向于她前期的这种迅猛变化是由于体内激素影响而产生的。


总之呢,大家要对祛痘有一个理性的预期。在抗痘的路上,尤其前期,如果遇到短期内非常迅猛的变好,别太激动,可能仅仅是体内激素水平波动导致的症状变化~相反的,如果遇到短期的变差,也别太灰心!正确心态是,眼光要放的长远一点,,一般痘痘的观察周期起步三个月,所以看三个月以上的整体大趋势才更有意义。

 

随手点“好看”,支持良心文!感谢鼓励~


实践是检验真理的唯一标准

长按二维码关注